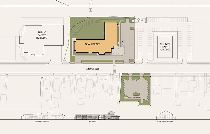
Ionia Public Library